Sea Cliff is a station on the Oyster Bay Branch of the Long Island Rail Road. It is located on Sea Cliff Avenue and Glen Keith Road, between Glen Cove Avenue and Cedar Swamp Road, in the City of Glen Cove, in Nassau County, New York, United States.
The Sea Cliff station was named after Sea Cliff Avenue, rather than the nearby village of the same name.
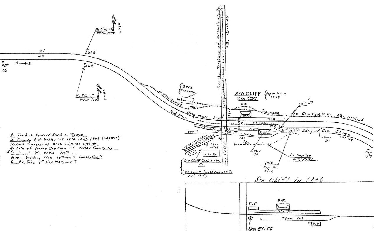
History
The Sea Cliff station was built in 1867 by the Glen Cove Branch Rail Road, and was reconstructed in May 1888 at the cost of $4,000 (1888 USD). The station is typical of many LIRR stations of the late-Victorian era. It contains a two-story red brick structure with a gabled-roof that extended into canopies on the sides, which contains elaborate gingerbread woodwork along the canopies.
From July 2, 1902 to December 31, 1924, the Sea Cliff station had connections to two trolley lines. One was the Sea Cliff Village Trolley, owned by the Nassau County Railway and the other was the Glen Cove Railroad (not to be confused with the old LIRR subsidiary) which ran along the Oyster Bay Branch right-of-way into Downtown Glen Cove in 1905. From 1909 to 1956, it also contained a wooden pedestrian bridge.
On February 18, 1988, roughly a century after the second station was erected, the station house at the Sea Cliff station was listed on the National Register of Historic Places, thus making it a designated landmark.
The station underwent a major renovation in 1997, during which time the station's current high-level platforms were added and station was made compliant with the Americans with Disabilities Act of 1990. The new platforms made the station compatible with the railroad's new C3 bilevel railcars.
Station layout
This station has two high-level side platforms, each four cars long. There is a spur east of the station for track maintenance equipment, but was used as a freight siding until the 1970s. The siding at one point crossed Sea Cliff Avenue to service Sea Cliff Coal and Lumber, whose covered coal dump still stands.
References
External links
Media related to Sea Cliff (LIRR station) at Wikimedia Commons
- Sea Cliff – LIRR
- Sea Cliff LIRR timetable
- Sam Berliner III's Long Island Railroad page
- 1999 Sea Cliff Station Photos(Victorian Stations of the LIRR)
- NRHP Landmark
- Unofficial LIRR History Website
- 1999 Photo
- 2006 Handicapped ramp
- Station Interior
- Victorian-style overhead light
- Sea Cliff LIRR Station (Road and Rail Pictures)
- Station from Sea Cliff Avenue from Google Maps Street View




